Menu

Skalica

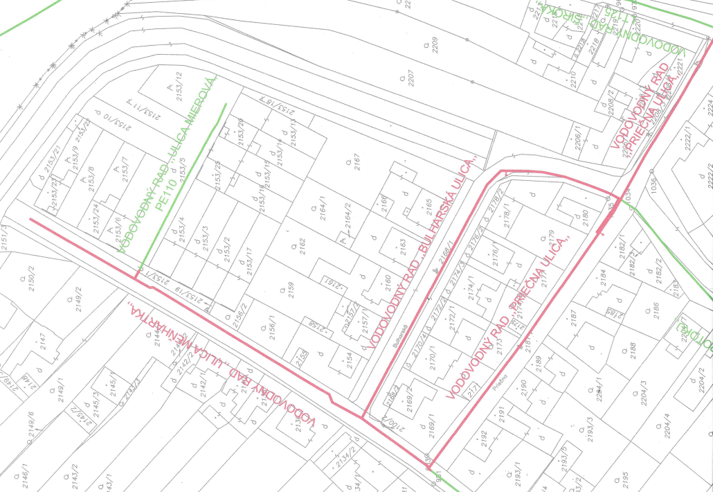
Realizácia stavby: ul. Priečna, Bulharská, Meňhartka

Začiatok prác 19.1.2026

Mesto Skalica, oddelenie výstavby a ŽP Vám týmto oznamuje, že od 19.1.2026 začne realizácia stavby ,,Skalica, Priečna ul., Bulharská ul., Meňhartka – Sanácia vodovodu“. Realizácia začne na ul. Meňhartka a postupne bude pokračovať na ul. Bulharská a Priečna.

Dovoľujeme si Vás požiadať o trpezlivosť, toleranciu a dodržiavanie dopravného značenia až do ukončenia realizácie prác.             

Za pochopenie vopred ďakujeme             

                                                                                                              MESTO SKALICA

mapa

 

Dátum vloženia: 16. 1. 2026 13:26

VYHĽADÁVANIE

rozšírené vyhľadávanie

MESTSKÝ ÚRAD

  • Námestie slobody 145/10
    909 01 Skalica
    Slovenská republika
    +421 34 6903 105

Úradné hodiny - klientske centrum (podateľňa, pokladňa, matrika, evidencia obyvateľstva, overovanie):
Pondelok 8:00-11:30  12:30-15:00
Utorok      8:00-11:30  12:30-15:00
Streda       8:00-11:30  12:30-16:30
Štvrtok      8:00-11:30  12:30-15:00
Piatok        8:00-11:30  12:30-14:00
Stavebný úrad:
Pondelok  8:00-11:30  12:30-15:00
Streda       8:00-11:30  12:30-16:30
Ostatné pracoviská MsÚ:
Pondelok 8:00-11:30  12:30-14:00
Utorok      8:00-11:30  12:30-14:00
Streda       8:00-11:30  12:30-16:00
Štvrtok      8:00-11:30  12:30-14:00
Piatok        8:00-11:30  12:30-14:00